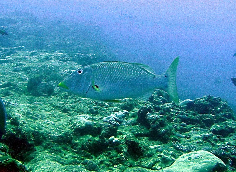
Yellowlip emperor at Bevato.


Photo by Stéphane Engel - on 20/10/08 Yellowlip emperor at Bevato.
Three hundred meters off the reef, we go down to sand at 25 meters, at the bottom of a wall, where begins a long coral platter. Really rich and dense site. You can see over a short distance a big variety of species. Blue triggers and surgeons schools; java and honeycomb morays, longfin bannerfishes, parrotfishes, glassfishes, lobsters, octopus, morays and humphead wrasses, jacks, sometimes an eagle ray or a turtle...
Lethrinus xanthochilus